Załącznik do Zarządzenia nr 0050.186.2025
Burmistrza Miasta Skoczowa
z dnia 23 września 2025 r.
WN.6845.12.2025
Wykaz
Na podstawie art. 35 ust. 1 i 2 ustawy z dnia 21 sierpnia 1997 r. o gospodarce nieruchomościami (tekst jednolity: Dz.U. z 2024 r. poz. 1145 z późn. zm)
Burmistrz Miasta Skoczowa
Ogłasza, że przeznacza do oddania w dzierżawę w trybie bezprzetargowym, następującą nieruchomość gminną:
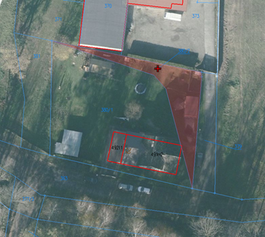
- działkę nr 380/2, obręb 4 w Skoczowie, o pow. 283 m², oznaczoną jako grunty rolne - RIVb, zapisaną w KW BB1C/00050882/9, pod ogródek przydomowy trwale przygrodzony, na okres 3 lat.
Przeznaczenie w planie zagospodarowania przestrzennego Gminy Skoczów – Uchwała Rady Miejskiej Skoczowa Nr XXII/261/2004 z dnia 24 czerwca 2004 r., w sprawie: miejscowego planu zagospodarowania przestrzennego miasta Skoczowa – obręb 1 i 4:
- „A5U,P” – usługi oraz produkcja, przemysł o wysokim poziomie technologicznym, rzemiosło wyspecjalizowane, parki technologiczne, usługi komercyjne w tym hurtownie, centra magazynowo-dystrybucyjne, składy, obiekty wystawiennicze itp.
Czynsz dzierżawy pod ogródek przydomowy trwale przygrodzony, wynosi 4,00 zł za 1 m² w stosunku rocznym + należny podatek VAT, na podstawie §1, ust. 7 pkt 1 załącznika do Zarządzenia Burmistrza Miasta Skoczowa nr 0050.226.2023 z dnia 29 grudnia 2023 r., w sprawie ustalenia stawek czynszu za najem i dzierżawę gruntów, wchodzących w skład gminnego zasobu nieruchomości i oddanych bezprzetargowo, obowiązujący od dnia 01.01.2024 r.
Czynsz płatny rocznie z góry do dnia 31 marca każdego roku.
Czynsz może ulec zmianie, zgodnie z cennikiem ustalającym wysokość stawek czynszu za najem i dzierżawę gruntów gminnym, obowiązującym w danym roku kalendarzowym.